6月3日 樺島地磯 ~梅雨クロ開幕~
快晴の中、暑さ和らぐ夕まずめ狙いで
短時間の釣りに行きました。
対象魚をクロに絞り、かめやの店員さんの情報を参考にして、いざ樺島へ^_^
長崎港、その近郊は相変わらず20cm前後の鯖子が沸いているとのこと。
今の梅雨クロの情報は、瀬渡しで三瀬、樺島 貝瀬周辺が好調みたいです。
しかし、私は直感で潮通しのいい樺島を目指し、今回は歩いて地磯へ。
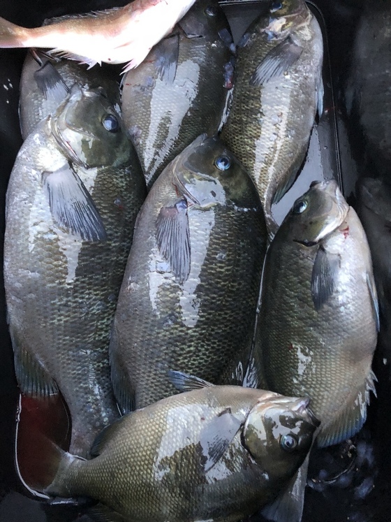
気になる釣果は
地クロ 33cm、31cm 2匹
オナガ 25cmを頭にキープ5匹
小鯛 1匹
樺島へ行く途中、長崎の名礁 左から三瀬、中ノ島、軍艦島が見えます。
今日も瀬渡しで賑わっているのかなぁ~
近いうちに三瀬、また伊王島 沖の平瀬への釣行を予定したいところです^_^
今回の釣り場は、樺島大橋下になります。
綺麗に透き通った海。
最高の地磯です。
しかし、干満を考慮したり、船が行き来するので、十分に気をつけなければいけません。
流れがかなり速いので、足場悪いので
気を遣います😁
この釣り場は、樺島大橋近辺、潮通しが良く、人気釣りスポットです。
特に赤灯台は人気で、大型真鯛、オナガ、イサキ、地クロなど、流れが速すぎますが
かなり実績あります。
また、私がいる逆側の場所は比較的行きやすい場所で、左側の磯も人気です。
今日は干潮17時、釣り開始が15時半。
満潮時は水没する場所なので、干満が大きい時の干潮前後2時間半、計5時間は
釣りできます。
釣り場へ着くと、釣れそうな雰囲気😆
流れが相変わらず速かったですが、
一投目から小鯛が遊んでくれます。
しかし、撒き餌を撒いて1時間経つと
付餌の頭だけ取られたので、ガン玉調整、
針を5号から4号へ落とすと、、、
ウキがかなり先まで行き、かすかに見えなくなったので、合わせるとグィーン😁
手前の磯際に数回突っ込みも耐えて、
地クロget‼
その後は、オナガが遊んでくれました。
時刻は19時近くになり、上げ潮になりましたが、流れは右から左へ激流です。
ガン玉を外し、浅タナ狙いに変更。
すると、8秒後にはウキの確認ができないので、パラパラ出る道糸が急にひったくられます。
即合わせ。しかし、最初の抵抗で針ハズレをやらかしました😭
あの合わせた感触は、良型の魚だった気がしてます。クロ、またはチヌのような...
干潮から2時間半が経った19時半。
磯場が満ちてきたので、納竿。
いや~久々にサバ子が全くいない釣りが出来た上に、本命も釣れて最高でした^_^
自宅に帰り、酔いしれました。
地クロ、オナガの刺身、塩焼き。
そして、鯛飯は絶品でした。
海の恵みよ、ありがとう😊
明日から仕事頑張ります。
短時間の釣りに行きました。
対象魚をクロに絞り、かめやの店員さんの情報を参考にして、いざ樺島へ^_^
長崎港、その近郊は相変わらず20cm前後の鯖子が沸いているとのこと。
今の梅雨クロの情報は、瀬渡しで三瀬、樺島 貝瀬周辺が好調みたいです。
しかし、私は直感で潮通しのいい樺島を目指し、今回は歩いて地磯へ。
気になる釣果は
地クロ 33cm、31cm 2匹
オナガ 25cmを頭にキープ5匹
小鯛 1匹
樺島へ行く途中、長崎の名礁 左から三瀬、中ノ島、軍艦島が見えます。
今日も瀬渡しで賑わっているのかなぁ~
近いうちに三瀬、また伊王島 沖の平瀬への釣行を予定したいところです^_^
今回の釣り場は、樺島大橋下になります。
綺麗に透き通った海。
最高の地磯です。
しかし、干満を考慮したり、船が行き来するので、十分に気をつけなければいけません。
流れがかなり速いので、足場悪いので
気を遣います😁
この釣り場は、樺島大橋近辺、潮通しが良く、人気釣りスポットです。
特に赤灯台は人気で、大型真鯛、オナガ、イサキ、地クロなど、流れが速すぎますが
かなり実績あります。
また、私がいる逆側の場所は比較的行きやすい場所で、左側の磯も人気です。
今日は干潮17時、釣り開始が15時半。
満潮時は水没する場所なので、干満が大きい時の干潮前後2時間半、計5時間は
釣りできます。
釣り場へ着くと、釣れそうな雰囲気😆
流れが相変わらず速かったですが、
一投目から小鯛が遊んでくれます。
しかし、撒き餌を撒いて1時間経つと
付餌の頭だけ取られたので、ガン玉調整、
針を5号から4号へ落とすと、、、
ウキがかなり先まで行き、かすかに見えなくなったので、合わせるとグィーン😁
手前の磯際に数回突っ込みも耐えて、
地クロget‼
その後は、オナガが遊んでくれました。
時刻は19時近くになり、上げ潮になりましたが、流れは右から左へ激流です。
ガン玉を外し、浅タナ狙いに変更。
すると、8秒後にはウキの確認ができないので、パラパラ出る道糸が急にひったくられます。
即合わせ。しかし、最初の抵抗で針ハズレをやらかしました😭
あの合わせた感触は、良型の魚だった気がしてます。クロ、またはチヌのような...
干潮から2時間半が経った19時半。
磯場が満ちてきたので、納竿。
いや~久々にサバ子が全くいない釣りが出来た上に、本命も釣れて最高でした^_^
自宅に帰り、酔いしれました。
地クロ、オナガの刺身、塩焼き。
そして、鯛飯は絶品でした。
海の恵みよ、ありがとう😊
明日から仕事頑張ります。







